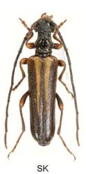
family CERAMBYCIDAE Latreille, 1802
subfamily LEPTURINAE Latereille, 1802
tribe Lepturini Latreille, 1802
genus Cornumutila Letzner, 1844
Cornumutila lineata (Letzner, 1844)



Velikost 8-13 mm.
Bionomie. Smrkové porosty horských smrkových lesů kolem 1000 i více metrů n. m. Podmínky pro vývoj larev tohoto druhu jsou zřejmě dosti široké, podobně jako u některých jiných Lepturinů. V Tatrách jsem zjistil (stejně jako řada jiných entomologů) vývoj v odumřelém dřevě obvykle okrajových živých stromů s poraněnou a odřenou kůrou. To obvykle vzniká po loupání zvěří, po pádu jiného stromu, odlomení části stromu apod.. Na Jeseníkách jsem našel larvy v suchém vršku živého mladého stromku o průměru cca 5-6 cm, ale zejména v odumřelém dřevě vrcholových částí stojících stromů po odlomení vršku, kde je díky srážkám dostatečná vlhkost. Kuklí se ve dřevě cca 3 cm hluboko. Doba vývoje se udává obvykle tříletá. - Imága se vyskytují koncem VI. - VII. na odřených místech stromů, na stojících odumřelých stromech i na dříví. Nenavštěvují květy. Většina imág, která se nalézají ve sbírkách, byla dochována, nebo vysekána ze dřeva.
Živné rostliny - U nás zjištěn téměř výhradně na Picea, vzácně na Larix (Sekera 1946).
Variabilita. Tvar žlutých podélných pásek je různý, může být i silně redukován.
CZ Picea
Požerky byly odebrány z vrcholů smrků s dříve odlomeným vrcholem (Jeseníky), na rozhraní odumřelého a zdravého dřeva s dostatečnou vlhkostí.
Imaga vylezla v dalším roce.



Na Slovensku byl původně tento druh sbírán pouze na místech s odřenou kůrou smrků (Prokš, Heyrovský, Sekera, Lekeš, Sláma aj.),
kde se tento druh také vyvíjí. Na fotografiích je obdoba těchto odřených stromů s odumřelým dřevem, které je ale ve styku se zdravým.

